POINT
物件概要
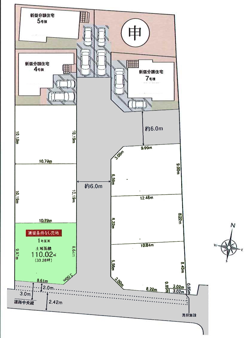
| 土地面積 | 110.02m2(33.28坪) | 土地権利 | 所有権 |
|---|---|---|---|
| 用途地域 | 第1種低層住居専用地域 |
建ぺい率 | 50% |
| 容積率 | 100% | 現況 | 更地 - |
| 地目 | 宅地 | 都市計画 | 市街化 |
| 引渡時期 | 相談 | 私道面積 | 私道負担無 |
| セットバック | - | 接道状況 | 東側 6.0m 角地 、南側 6.0m 角地 公道 |
| 情報更新日 | 2025年12月12日 | 次回更新予定日 | 2025年12月20日 |
| 取引態様 | 媒介 | ||
| 設備 | 都市ガス / 公営水道 / 汚水:公共下水 / 雑排水:公共下水 建築条件なし |
||
| 制限事項 | |||
| 備考 | - | ||
| 土地面積 | 110.02m2(33.28坪) |
|---|---|
| 土地権利 | 所有権 |
| 用途地域 | 第1種低層住居専用地域 |
| 建ぺい率 | 50% |
| 容積率 | 100% |
| 現況 | 更地 - |
| 地目 | 宅地 |
| 都市計画 | 市街化 |
| 引渡時期 | 相談 |
| 情報更新日 | 2025年12月12日 |
| 次回更新予定日 | 2025年12月20日 |
| 私道面積 | 私道負担無 |
| セットバック | - |
| 接道状況 | 東側 6.0m 角地 、南側 6.0m 角地 公道 |
| 取引態様 | 媒介 |
| 設備 | 都市ガス / 公営水道 / 汚水:公共下水 / 雑排水:公共下水 建築条件なし |
| 制限事項 | |
| 備考 | - |
- 地積、建物床面積、仕様に変更が生じる場合があります。
- 図面と現況が異なる場合には現況を優先します。
- 物件情報は最新のものをご提供させて頂きますが、万一売約済の場合はご容赦ください。
- 掲載物件の取引態様が「仲介」となっているものは、仲介手数料減額物件を除き、ご成約の際に規定の手数料及びそれに係わる消費税を別途申し受けます。
- 建築条件付土地は土地売買契約締結後、一定期間内に当社指定の不動産会社もしくは建築業者と建築請負契約を結ぶことが前提となります。期間中に建築請負契約が成立しなかった場合、土地売買契約は白紙となり、支払った金額は全額返金されます。
ローンシミュレーション
| 借入期間 | 年 |
|---|---|
| 借入金利 | % |
月々のお支払い例
円
※月々のお支払い例は金融機関や商品によって借入金額の条件は異なります。詳しくは店舗までお問い合わせください。
周辺環境
小学校
練馬区立大泉西小学校
170m(徒歩3分)
中学校
練馬区立大泉西中学校
1200m(徒歩15分)
この物件に関するお問い合わせ
物件名:西大泉4丁目 物件番号:20203536
10時00分~18時30分(休業日 毎週 火曜日・水曜日)
物件名:西大泉4丁目 物件番号:20203536




